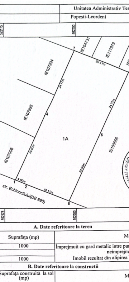
Popesti Leordeni, zona Drumul Fermei
390.000 €
Popesti Leordeni, zona Drumul Fermei.
390.000 €
Caracteristici
Suprafata 1.000 mp
Intravilan
Deschidere 20 ml
Detalii suplimentare: Acces drum asfaltat Alimentare apa Cadastru Canalizare Certificat urbanism Curent electric Cut Gaze Ingradit Intabulare Liber Pot Puz Stradal
Detalii suplimentare: Acces drum asfaltat Alimentare apa Cadastru Canalizare Certificat urbanism Curent electric Cut Gaze Ingradit Intabulare Liber Pot Puz Stradal
Descriere
Vand teren cu toate utilitatile pe Str. Echinoctiului nr. 9, suprafata 1000 mp, deschidere - 20 m, P+3+4retras, Pot 50%, Cut 1,5, cadastru si intabulare, pret neg.
1.332 vizualizari
Ilfov, Popesti - Leordeni, 05 Ianuarie '26
Actualizat 15 Decembrie '25
Actualizat 15 Decembrie '25
Statii metrou
| Dimitrie Leonida | 21 min | |
| Apărătorii Patriei | 30 min |
