Cernica, Tanganu
81.000 €
Cernica, Tanganu,
81.000 €
Caracteristici
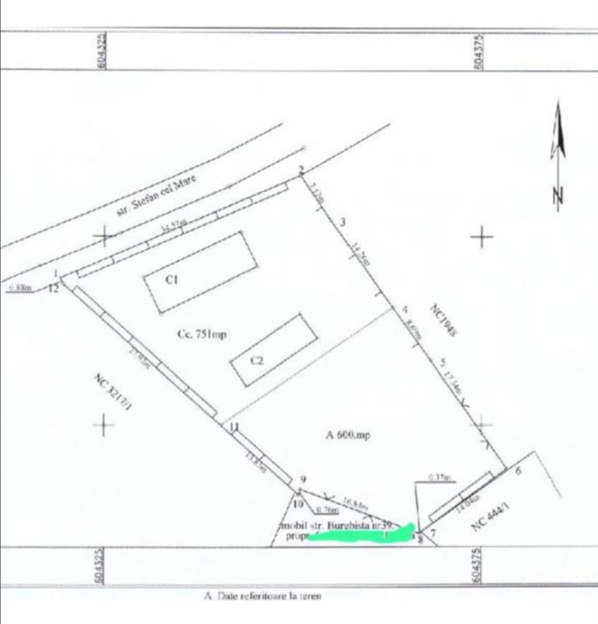
Suprafata utila 135 mp
Teren 1.351 mp
An 1973
6 camere
Demolabila
Descriere
Investeste pe termen lung si construieste un viitor pentru tine si familia ta. Vand casa veche la curte doua corpuri comuna Cernica, sat Tanganu, pozitionare foarte buna, curent electric, imprejmuita cu gard beton, suprafata 1351mp, utilitati , apa, gaze, canalizare la poarta, deschidere 35 m. Din autostrada soarelui la 5 minute, 10 minute de Auchan Pallady, Metro, 5 min Fashion House Outlet Centre Pallady, Manastirea Cernica, gradinita, scoala in apropiere, dispensar, farmacie, statie de autobuz in apropiere, etc.
466 vizualizari
Ilfov, Cernica, 08 Februarie '26
Actualizat 11 Februarie '26
Actualizat 11 Februarie '26
